Woodbridge Township Traffic Signal and Intersection Improvement Projects

Woodbridge, NJ

Transportation – Intersections

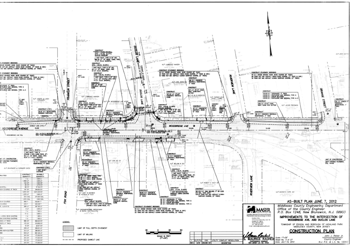
Since 2017, our firm has supported Woodbridge Township in a comprehensive intersection improvement program aimed at enhancing traffic safety, mobility, and regulatory compliance. To date, more than 18 traffic signals have been upgraded or newly installed to meet NJDOT and MUTCD standards while addressing community needs.
Our team has provided full-scope services, including traffic signal warrant and timing analysis, signal and electrical design, signing and pavement marking plans, ADA curb ramp design, resurfacing plans, and roadway construction documents. We also assisted in updating municipal technical specifications and supported the Township throughout bidding and construction.
Throughout this program, we have not only contributed to a safer roadway network in Woodbridge Township but have also demonstrated the power of consistent collaboration, technical excellence and a commitment to community impact.